6820 Hwy 112, Canaan
$44,900
MLS® # NB130918
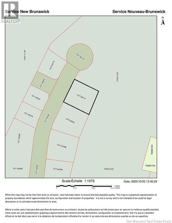
Ready to build your dream home? This new section is quite ,but, still close to everything, walking distance to school k-12. Flat land with the village sewer running right by. no grubbing required HST applies (id:6289)
RE/MAX Quality Real Estate Inc.